$166,400

Change currency

Select Currency

Antillean Guilder

Argentina Peso

Aruban Florin

Australian Dollar

Bahamian Dollar

Barbadian Dollar

Belize Dollar

Bermudan Dollar

Bitcoin

Brazil Real

Bulgarian Lev

Canadian Dollar

Cayman Islands Dollar

Chile Peso

China Yuan Renminbi

Columbian Peso

Costa Rican Colón

Czech Republic Koruna

Denmark Krone

Dominican Peso

Euros

Fiji Dollar

Ghanaian Cedi

Honduras Lempira

Hong Kong Dollar

Hungary Forint

Iceland Krona

India Rupee

Indonesia Rupiah

Israel Shekel

Jamaican Dollar

Japan Yen

Korea (South) Won

Lebanese Pound

Malaysia Ringgit

Mexico Peso

Mauritian Rupee

New Zealand Dollar

Nicaraguan Córdoba

Nigerian Naira

Norway Krone

Pakistan Rupee

Panamanian Balboa

Peruvian Sol

Philippine Peso

Poland Zloty

Russia Ruble

Singapore Dollar

South Africa Rand

Sweden Krona

Switzerland Franc

Taiwan New Dollar

Thailand Baht

Trinidad & Tobago Dollar

Turkey Lira

United Arab Emirates Dirham

United Kingdom Pound

Uruguayan Peso

US Dollar

Viet Nam Dong

Qatar Riyal

 

0 Joyce Avenue Nw Massillon, OH, United States 44646

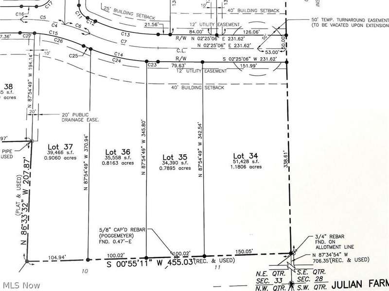
This custom lot is located in Julian Farm Development Phase 2, Jackson Twp. in Jackson LSD. This lot is .79 acres and has 79' of frontage. It is a walk out lot. You can use your own builder or you can use one of our builders. Subject to approval by the development's architectural review board. Call Realtor for more information.

Amenities

  • Bedrooms: 0
  • Full Bathrooms: 0
  • Partial Bathrooms: 0
  • Property Type: Land
  • Home size: 0 ft2 / 0.00 m2
  • MLS: 5043152
  • Status: Active

Property brokered by

Cutler Real Estate - NE Ohio/Central Ohio

(330) 491-2737

Presented by Mike Boylan

Contact Mike Boylan

Contact Agent

Similar Listings

  • 3414 Joyce Avenue Nw
    Massillon, OH, United States $156,000 Bedrooms: 0 Full Bathrooms: 0 Details
  • 3533 Joyce Avenue Nw
    Massillon, OH, United States $156,000 Bedrooms: 0 Full Bathrooms: 0 Details
  • Lot 42 Joyce Avenue Nw
    Massillon, OH, United States $156,000 Bedrooms: 0 Full Bathrooms: 0 Details
  • 3477 Joyce Avenue Nw
    Massillon, OH, United States $156,000 Bedrooms: 0 Full Bathrooms: 0 Details
  • 3447 Marys Way Avenue Nw
    Massillon, OH, United States $156,000 Bedrooms: 0 Full Bathrooms: 0 Details


Language

Sign In

To save and share favorite properties