$248,500

Change currency

Select Currency

Antillean Guilder

Argentina Peso

Aruban Florin

Australian Dollar

Bahamian Dollar

Barbadian Dollar

Belize Dollar

Bermudan Dollar

Bitcoin

Brazil Real

Bulgarian Lev

Canadian Dollar

Cayman Islands Dollar

Chile Peso

China Yuan Renminbi

Columbian Peso

Costa Rican Colón

Czech Republic Koruna

Denmark Krone

Dominican Peso

Euros

Fiji Dollar

Ghanaian Cedi

Honduras Lempira

Hong Kong Dollar

Hungary Forint

Iceland Krona

India Rupee

Indonesia Rupiah

Israel Shekel

Jamaican Dollar

Japan Yen

Korea (South) Won

Lebanese Pound

Malaysia Ringgit

Mexico Peso

Mauritian Rupee

New Zealand Dollar

Nicaraguan Córdoba

Nigerian Naira

Norway Krone

Pakistan Rupee

Panamanian Balboa

Peruvian Sol

Philippine Peso

Poland Zloty

Russia Ruble

Singapore Dollar

South Africa Rand

Sweden Krona

Switzerland Franc

Taiwan New Dollar

Thailand Baht

Trinidad & Tobago Dollar

Turkey Lira

United Arab Emirates Dirham

United Kingdom Pound

Uruguayan Peso

US Dollar

Viet Nam Dong

Qatar Riyal

 

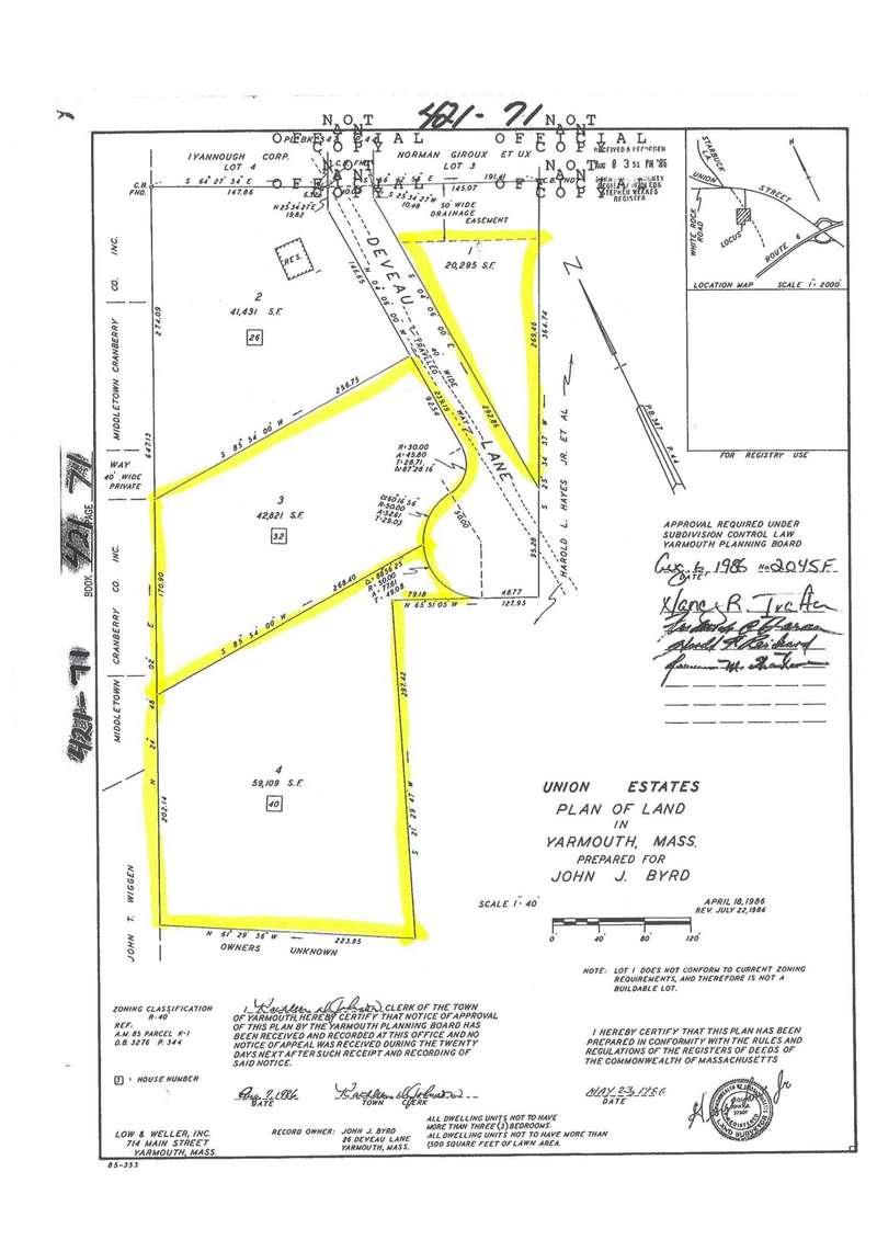
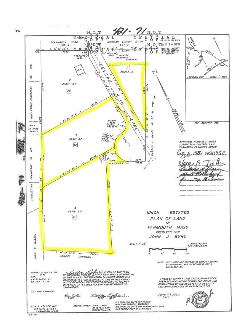
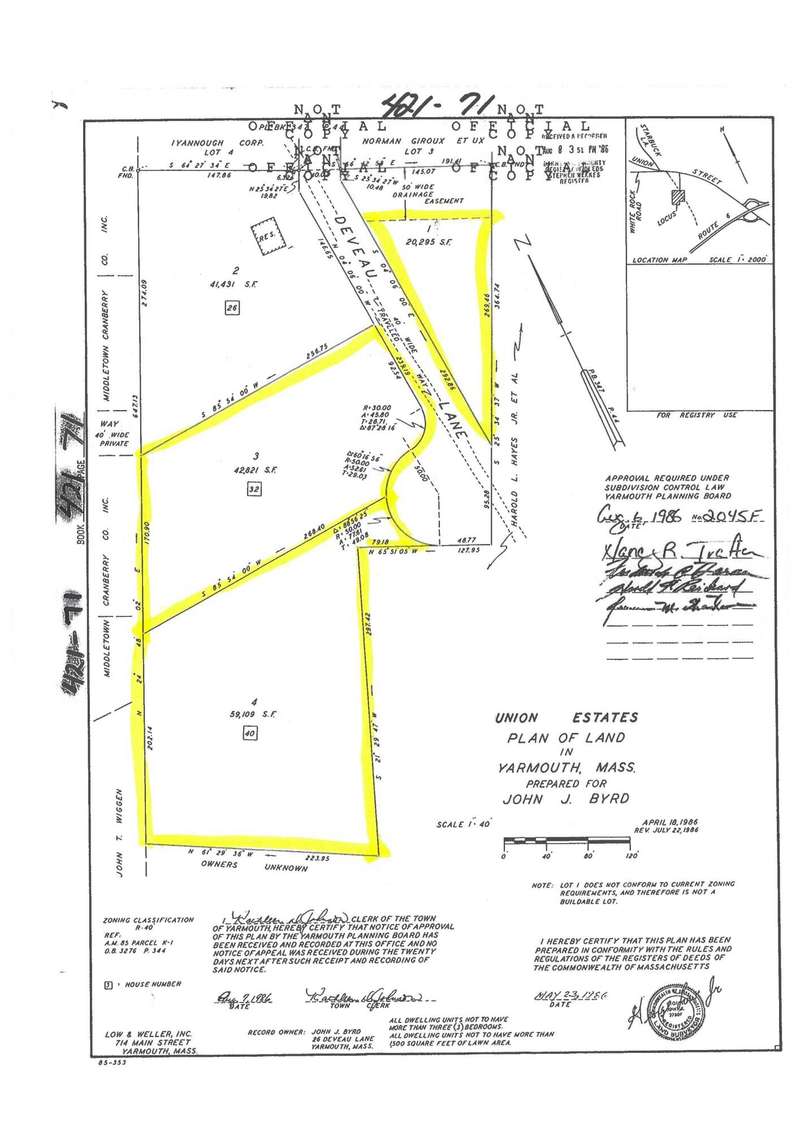
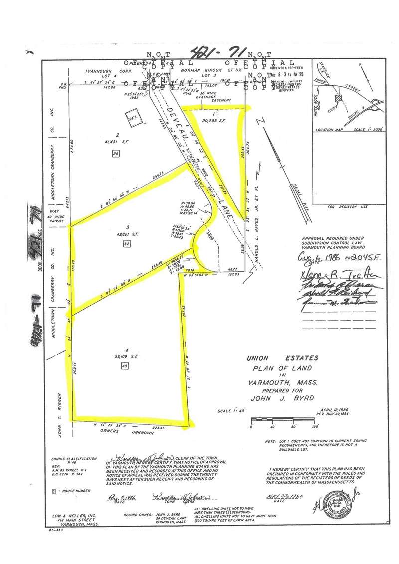
40 Deveau Yarmouth, MA, United States 02675

This lot is part of an extension of an existing subdivision but will necessitate the completion of the road and underground utilities to access both lots 32 and 40. The road that needs to be completed is approximately 300 feet long with required cul-de-sac. see attached plans in document section.

Amenities

  • Bedrooms: 0
  • Full Bathrooms: 0
  • Partial Bathrooms: 0
  • Property Type: Land
  • Home size: 0 ft2 / 0 m2
  • MLS: 22500466
  • Status: Active

Property brokered by

William Raveis Real Estate - CT

(877) 339-4082

Presented by Chris Manning

Contact Chris Manning

Contact Agent

Similar Listings

  • 40 Deveau
    Yarmouth, MA, United States $248,500 Bedrooms: 0 Full Bathrooms: 0 Details
  • 32 Deveau
    Yarmouth, MA, United States $248,500 Bedrooms: 0 Full Bathrooms: 0 Details
  • 32 Deveau
    Yarmouth, MA, United States $248,500 Bedrooms: 0 Full Bathrooms: 0 Details


Language

Sign In

To save and share favorite properties