Commercial Lot Near Uihc Medical Campus and Amenities

USD $1,585,000
North Liberty, Iowa, 52317, USA

Property Highlights

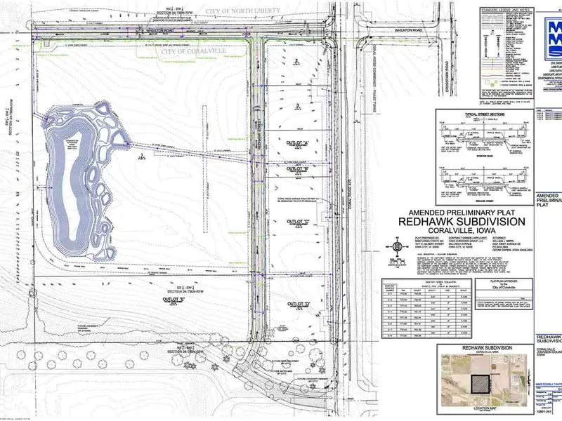
  • Commercial lot in Redhawk Subdivision
  • Near UIHC North Liberty Medical Campus
  • Adjacent to new 366-unit apartment complex
  • Across from recently opened Hy-Vee store
  • Convenient access off Highway 965
  • Located at southwest of Wheaton Road

Overview

Commercial lot located in the recently platted Redhawk Subdivision adjacent to the recently announced UIHC North Liberty Medical Campus at the southwest of Wheaton Road and right off Hwy 965. Immediately located in front of proposed 366 unit apartment complex and across from recently opened Hy-Vee store.
Show More Show Less

Property Features

North Liberty, Iowa, 52317, USA offers the following features:

Property Type: Lot-Land
Status: Active
Reference ID: 202505170

Map