Scenic Lot in Canaan Heights with Community Amenities

CAD $100,000 (USD $72,257) *current conversion
Canaan, Nova Scotia, B4N 0A8, Canada

Property Highlights

  • Beautiful views of Cape Blomidon
  • Fully serviced lot with municipal utilities
  • Family-friendly community amenities
  • Quick highway access to downtown Halifax
  • Cleared lot under half an acre
  • Nearby schools for all grades

Overview

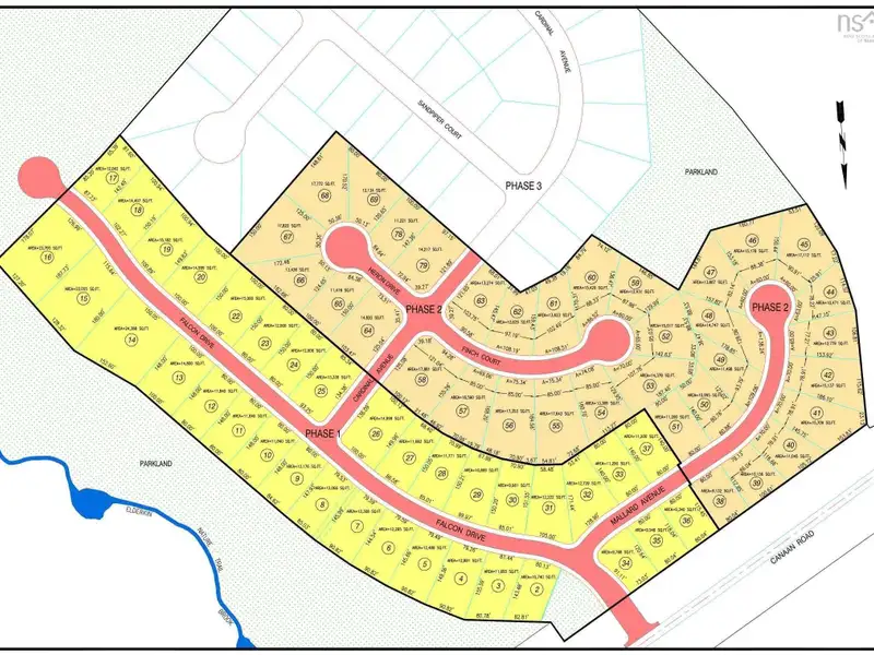
Welcome to Canaan Heights, a sought-after subdivision in the heart of the Annapolis Valley, offering beautiful views of Cape Blomidon. This fully serviced lot comes with underground power, municipal water, and municipal sewer connections. the community features a park, playground, walking trails, picnic areas, and a basketball court - ideal for families and those who enjoy the outdoors. With quick highway access and just an hour's drive to downtown Halifax, the location offers both convenience and lifestyle. Canaan Heights is experiencing a resurgence in development, making it the perfect opportunity to purchase. You can use the builder of your choice, while restrictive covenants help maintain the quality and appeal of the neighbourhood. Please note, the purchase price is subject to HST over and above.

General Info:Listing Sub-Area: Kings County

Property Type: Vacant Land

Land Type: Vacant Lot(s)

Title To Land: Freehold

Prop Size: Under 0.5 Acres

Lot Size: 14,113 sq. ft.1,311 m2

Zoning: R2

Water Supply: Municipal

Sewer: Municipal

Additional Info:Utilities: None

Driveway: None

Land Features: Cleared

Waterfront: No

Other Details:Possession Info: Negotiable

School Info:Elementary School: Gaspereau Valley Elementary Scho

Middle School: Evangeline Middle School

High School: Horton High School

Listing Info:Listed Date: Oct 05, 2025

Days on Mkt:64
Show More Show Less

Property Features

Canaan, Nova Scotia, B4N 0A8, Canada offers the following features:

Property Type: Residential For Sale
Status: Active
Reference ID: 19182-202525307

Map