$50,000

Change currency

Select Currency

Antillean Guilder

Argentina Peso

Aruban Florin

Australian Dollar

Bahamian Dollar

Barbadian Dollar

Belize Dollar

Bermudan Dollar

Bitcoin

Brazil Real

Bulgarian Lev

Canadian Dollar

Cayman Islands Dollar

Chile Peso

China Yuan Renminbi

Columbian Peso

Costa Rican Colón

Czech Republic Koruna

Denmark Krone

Dominican Peso

Euros

Fiji Dollar

Ghanaian Cedi

Honduras Lempira

Hong Kong Dollar

Hungary Forint

Iceland Krona

India Rupee

Indonesia Rupiah

Israel Shekel

Jamaican Dollar

Japan Yen

Korea (South) Won

Lebanese Pound

Malaysia Ringgit

Mexico Peso

Mauritian Rupee

New Zealand Dollar

Nicaraguan Córdoba

Nigerian Naira

Norway Krone

Pakistan Rupee

Panamanian Balboa

Peruvian Sol

Philippine Peso

Poland Zloty

Russia Ruble

Singapore Dollar

South Africa Rand

Sweden Krona

Switzerland Franc

Taiwan New Dollar

Thailand Baht

Trinidad & Tobago Dollar

Turkey Lira

United Arab Emirates Dirham

United Kingdom Pound

Uruguayan Peso

US Dollar

Viet Nam Dong

Qatar Riyal

 

0 W Avenue B-12 + 25Th St. W Lancaster, CA, United States 93536

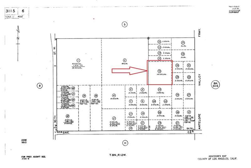
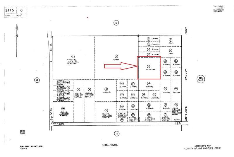
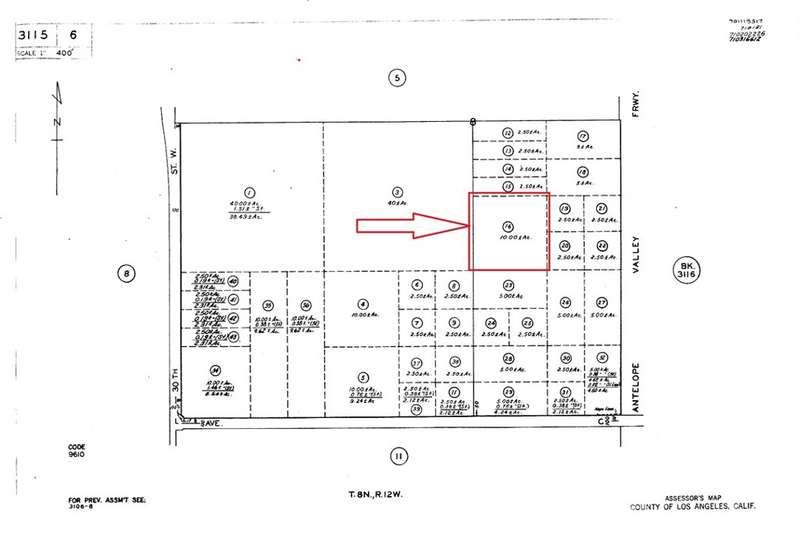
The subject 10 acre land is situated at the northwest corner of Highway 14 and West Avenue C, just north of Fox Airfield and Apollo Park. Positioned within a potential future growth area, the property remains unimproved and will be delivered in its current condition.
APN: 3115-006-024
Size: 10 Acres
Zoning: A-2-2; LCD22*
Gps: 34.796015, -118.174637

Amenities

  • Bedrooms: 0
  • Full Bathrooms: 0
  • Partial Bathrooms: 0
  • Property Type: Land
  • Home size: 0 ft2 / 0 m2
  • MLS: PW25071996
  • Status: Active

Property brokered by

First Team Real Estate

(949) 988-3000

Presented by Amir Maloumi

  • (714) 996-6070

Contact Amir Maloumi

Contact Agent

Similar Listings

  • 0 W 65Th Street
    Lancaster, CA, United States $50,000 Bedrooms: 0 Full Bathrooms: 0 Details


Language

Sign In

To save and share favorite properties