Prime 70-acre Development Opportunity in Calabash

USD $4,648,000
624 Blackwater Drive Southwest, Calabash, North Carolina, 28467, USA

Property Highlights

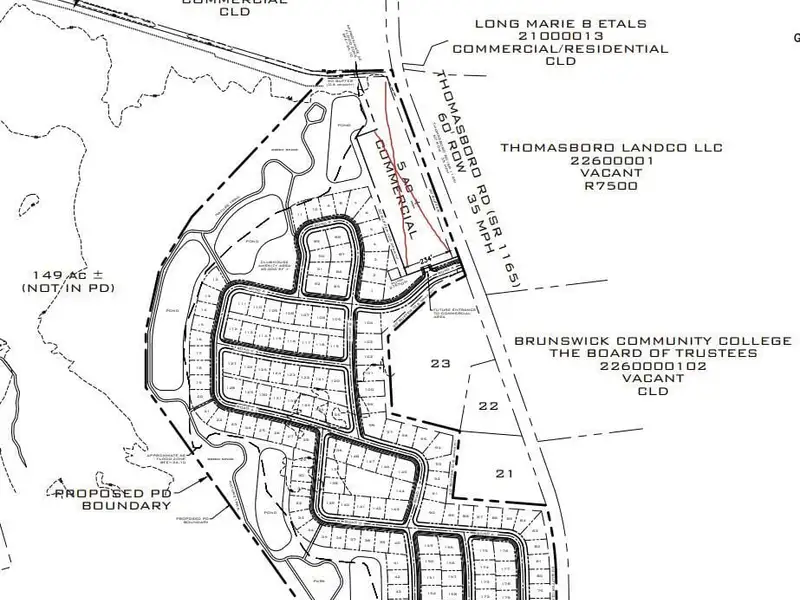
  • 70 acres approved for 164 homesites
  • Frontage on Ocean Hwy 17 and Thomasboro Road
  • Signalized corner with great traffic access
  • Close to Sunset Beach and Ocean Isle Beach
  • Near shopping, dining, and beaches
  • Completed wetlands and soil testing

Overview

70 acres offering an extraordinary opportunity for development right in the center of growing and bustling Calabash. This property is engineered and approved with Brunswick County for 164 homesites. The site offers great ingress and egress with frontage on Ocean Hwy 17 and Thomasboro Road which is a heavily trafficked and signalized corner. It is a very desirable development corridor offering quick access to world class beaches, shopping and restaurants. Thomasboro Road is a primary access to Sunset Beach, only 8 miles from this site and Ocean Isle Beach, only 12 miles. Myrtle Beach is 30 miles to the south, and Wilmington is 50 miles to the north along Ocean Hwy 17. The seller has already done a wetlands delineation, soil test, and subdivision plat. The commercial and the multifamily reflected on the site plan are not included with the sale of this property, the seller will retain these sections (Lots 49-70, and 5 acre commercial space). Property is part of a larger tract and will need to be surveyed and subdivided prior to commencing the sale.
Show More Show Less

Property Features

624 Blackwater Drive Southwest, Calabash, North Carolina, 28467, USA offers the following features:

Property Type: Land
Status: Pending
Reference ID: 100436246

Map